• Home
  • Housing
  • San Tan Valley 340-Home Koepnick Development Faces Delay

San Tan Valley 340-Home Koepnick Development Faces Delay

Image

The Pinal County Planning and Zoning Commission continued the Koepnick Property development hearings to March 19, 2026, following debate about road access, setbacks, and commercial viability. The 69.26-acre project would bring 340 single-family homes and 3.59 acres of commercial space to land south of Judd Road and east of Hunt Highway in San Tan Valley.

Image Not Found
Koepnick development location within Pinal County.
Image Not Found
The North Copper Basin development (up to 2,338 homes) was approved in September 2025. Koepnick is on the northeast side of the Copper Basin development. (Esri, Maxar, USDA)

Interactive Copper Basin Development map.

Proposed Development Would Add 340 Homes Near Copper Basin

The Koepnick Property sits adjacent to the existing Copper Basin subdivision on land historically used as a cotton farm. The development includes three related cases: a Minor Comprehensive Plan Amendment, a rezone from General Rural to R-7 and C-2, and a Planned Area Development overlay.

Elizabeth Koepnick owns the property. Her son, Sam Griffin, represented the family at the January 15 hearing. Griffin explained the family has farmed in Pinal County since the 1950s and still holds state land leases on approximately 1,700 adjacent acres.

The applicant proposes 5.2 dwelling units per acre. The current land use designation caps detached homes at 4 units per acre, so a comprehensive plan amendment is required.

A homeowners association would own and maintain all landscaping, recreational facilities, open areas, and private utility systems.

Commercial Parcel Location Questioned by Town and Commissioners

The 3.59-acre commercial parcel drew questions from multiple commissioners. Staff initially received no commercial component in the application. County planners requested the addition during the review process.

Image Not Found
Koepnick development site plan with 3.59-acre commercial parcel outlined in green adjacent to the Union Pacific Rail Line. (EPS Group with outline added)

The Town of San Tan Valley’s Town Manager Brent Billingsley submitted concerns about the commercial location. He noted the parcel sits adjacent to railroad tracks with limited access and visibility. The town wanted more than 3.59 acres of commercial land.

Vice-Chairman Robert Klob initially called the commercial parcel “a dead zone.” However, he later clarified that the location works for storage use. “As far as the location, I’m good with the location. I actually agree with you. I think that’s the best spot for it,” he said. His concern was the size. At 3.59 acres, Klob said the parcel would be too small for a viable storage facility after accounting for circulation, retention, landscaping, and open space.

The applicant’s representative, David Hughes of EPS Group, explained the commercial was positioned to serve as a buffer between residential areas and the Union Pacific Railroad. Griffin added that his mother currently lives on the property adjacent to the tracks, and freight trains shake her house during Sunday dinners. Griffin said the family intends mini-storage for the parcel and would oppose higher-intensity uses, though the C-2 zoning allows a range of community commercial uses.

The nearby North Copper Basin development, approved in September 2025, requires at least 25 acres of commercial and office uses along Hunt Highway. Hughes noted that “higher profile commercial uses would be more desired” at that Hunt Highway location rather than the Koepnick Property’s parcel near the railroad.

Image Not Found
Area C of the North Copper Basin development approved in September 2025 has designations for commercial along Hunt Highway. (RVi Planning+ Landscape Architecture)

Vice-Chairman Klob Questions Affordability Claims

Klob questioned the affordability argument used to justify smaller lot sizes. He said developers put the same size homes on smaller lots rather than building smaller homes. “They’re now able to add 10%, 15%, 20% more lots, equals more profit, not necessarily passing those cost savings,” he explained. “It’s still a $400,000 home, it’s just on a smaller lot.”

Commissioner Karen Mooney, a San Tan Valley resident, raised concerns about increased density and traffic. “Hunt Highway is already overmaxed,” she said.

Development Standards Differ from County Code

Senior Planner Valentyn Panchenko clarified that all proposed residential development standards differ from the R-7 base code.

Standard R-7 CodeProposed
Lot area7,000 SF min4,600 SF min
Lot width50 ft min40 ft min
Front setback20 ft15 ft
Interior side setback10 ft5 ft
Rear setback25 ft10 ft
Building height30 ft max35 ft max

Vice-Chairman Klob raised concerns about the 15-foot front setback. “I drive an F-150. It’s 19 and a half feet long. Now I’m blocking the sidewalk,” he explained. Griffin agreed to a compromise: 15 feet from the house but 20 feet to the garage.

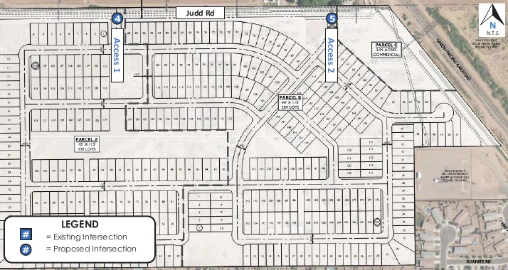
Road Access Remains Unresolved

The development proposes two access points, both on Judd Road. However, Judd Road functions as a dead-end street. This means residents would have only one way out of the broader area regardless of having two subdivision entrances.

Image Not Found
Site plan showing access points on Judd Road. (EPS Group)
Image Not Found
Judd Road access to the Koepnick Development. (Esri, Maxar, USDA)

Klob observed that the two subdivision entrances both feed onto Judd Road, which itself has only one way out to the broader road network.

Mooney questioned whether two access points on a dead-end road provided adequate evacuation options. “Even though you have two access points to get out of the community, if that is blocked off, they’re not going anywhere,” she said.

Stipulation six in the staff report requires “a minimum of two permanent access points to be provided for ingress and egress from the development to two separate existing public roads.” Senior Planner Sangeeta Deokar noted the applicant would need to address this at the platting stage.

Ken Diamond, fire marshal for Rural Metro Fire Department, confirmed Drifter Pass Road along the railroad provides emergency access. “We have used it over the years as emergency access to get different areas,” he said. The road connects to Bella Vista to the north and multiple access points into Copper Basin to the south.

Public Comment and Opposition

Steven Clary, who lives adjacent to the project in Copper Basin, spoke during the public hearing. He cited infrastructure limitations and said he would lose his vista view to new homes directly behind his property. Clary said the 35-foot building height would allow two-story homes that would devalue existing view lots in Copper Basin.

Bobbie Craig, a Florence resident, raised concerns about potential chemical contamination from agricultural land. She said she noticed chemical smells when skydiving over old farmland near Casa Grande and questioned whether formerly farmed land would be safe for families with children.

One written opposition letter came from Pinal County resident Morgan Jobst, who stated San Tan Valley does not need more residential development. “Many of the newest builds are empty because they’re too expensive and people aren’t buying,” Jobst wrote.

A July 2025 neighborhood meeting drew 10-15 residents. Attendees raised concerns about unwanted traffic, tax increases from the rezoning, and impacts on adjacent agricultural operations. Residents also asked that no connection be built across the Union Pacific Railroad.

Commission Continues Case to March 19

Klob agreed with continuance. “It allows the applicant to go back and work with staff to actually come back with a plan that is functional,” he said. He listed unresolved questions: Judd Road alignment, emergency access, setbacks, building height, and whether R-7 was the appropriate zoning standard.

The applicant agreed to the continuance. The commission unanimously continued all three cases to March 19, 2026.

Panchenko noted that if the applicant submits permits after July 1, 2026, they must comply with Town of San Tan Valley codes rather than county regulations due to the town’s incorporation.

Newsletter Subscription

Leave a Reply

Your email address will not be published. Required fields are marked *